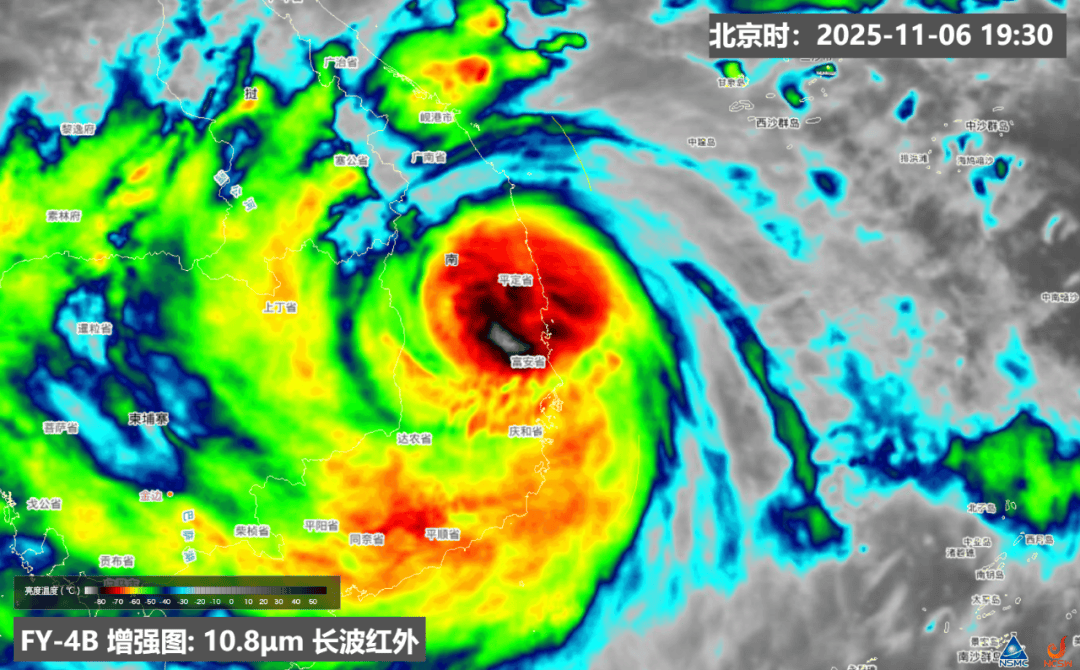
今年第25号台风“海鸥”(强台风级)的中心
已于11月6日晚上7点35分前后
在越南嘉莱省归仁市附近沿海登陆
登陆时中心附近最大风力14级(42米/秒)
中心最低气压为955百帕

登陆后
“海鸥”强度将逐渐减弱

受台风“海鸥”外围云系影响
8日晚上至10日白天
云南南部有中到大雨局部暴雨
需防范局地强降雨与
前期强降水叠加区
可能发生的山洪、泥石流等气象灾害
与此同时
中东部、南部清晨局地有大雾
驾车出行需特别注意
一起看具体天气情况
↓↓
云南天气预报

11月8日20时到11月9日20时:西双版纳州、红河州南部、普洱市、玉溪市西部、曲靖市北部阴有中到大雨局部暴雨,文山州、红河州北部、曲靖市南部、昆明市、玉溪市东部、楚雄州东部、临沧市多云间阴有小到中雨局部大雨,迪庆州、丽江市大部、大理州东部、保山市北部、德宏州北部多云间晴,其他地区多云有阵雨局部中雨。

11月9日20时到11月10日20时:普洱市南部和东部、红河州南部、西双版纳州、临沧市南部阴有中到大雨,迪庆州、丽江市、楚雄州北部、大理州、保山市、德宏州、昭通市中部多云间晴,其他地区多云有小雨局部中雨。

11月10日20时到11月11日20时:昭通市东部、曲靖市东部、文山州、红河州南部、普洱市东南部、西双版纳州东部多云局地有阵雨,其他地区晴间多云。
云南省地质灾害气象风险预警
2025年11月8日20:00~11月9日20:00,昆明市北部,曲靖市西部,玉溪市西部,保山市南部,楚雄州南部,普洱市北部、中部,大理州中部,德宏州东南部,怒江州北部,临沧市东部、中部和西南部发生滑坡泥石流的风险较高。
昆明天气预报

暴雨来袭
出行、驾车要注意些什么?
速速收藏


